La República Dominicana continuará experimentando este miércoles los efectos indirectos del huracán Melissa, que mantiene un ambiente propenso para la formación de nublados con lluvias y tormentas eléctricas.
Según el informe del Instituto Dominicano de Meteorología (Indomet), este miércoles las condiciones atmosféricas de la República Dominicana permanecerán bajo la incidencia del amplio campo nuboso asociado al huracán Melissa y la influencia del viento cálido y húmedo del sur/sureste.
“Ambos mantendrán el ambiente muy propicio para que en comunidades de las provincias Pedernales, Barahona, Independencia, Bahoruco, Azua, San José de Ocoa, Peravia y La Vega se presenten aguaceros fuertes en ocasiones, tormentas eléctricas y ráfagas de viento, especialmente durante la tarde y noche”, indicó.
Se prevé que estas condiciones meteorológicas se extenderán a sectores de San Cristóbal, Monte Plata, Monseñor Nouel, el Gran Santo Domingo, San Pedro de Macorís, La Romana, entre otras.
El huracán Melissa baja a categoría 3 mientras se acerca a Cuba
¿Qué provincias se verán más afectadas por las lluvias?
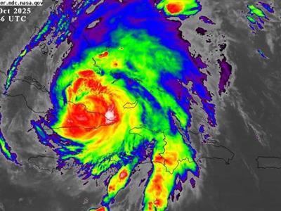
Melissa seguirá aportando campos nubosos y de acuerdo con las imágenes satelitales y de los radares de Punta Cana y de Puerto Plata, el territorio dominicano se mantiene mayormente nublado, con lluvias y posibles tormentas eléctricas hacia toda la franja costera sur, el suroeste, noreste y la vertiente sur de la Cordillera Central.
En el Distrito Nacional se prevén nublados con locales aguaceros moderados, tormentas eléctricas y ráfagas de viento, especialmente en la tarde y noche.
¿Cuáles son las recomendaciones del Indomet ante el huracán Melissa?
El Indomet recomienda mantener las medidas preventivas ante posibles inundaciones urbanas, crecidas de ríos, arroyos y cañadas, así como deslizamientos de tierra en zonas de alto riesgo.
Trayectoria
Melissa, el cuarto huracán intenso de la presente temporada ciclónica, con vientos máximos sostenidos de 185 km/h, recientemente, fue ubicado cerca de la latitud 20.4 norte y longitud 76.0 oeste, a unos 90 km al oeste de Guantánamo (Cuba) y a unos 365 km al sur del centro de las Bahamas. Aumentó la velocidad de desplazamiento a unos 19 k/h hacia el noreste.
De acuerdo a los modelos de proyección numérica de trayectoria, se espera que Melissa siga su movimiento hacia el noreste en los próximos días y siga aumentando su velocidad de traslación.
En cuanto al radio de vientos, los de intensidad de huracán se extienden a unos 45 km fuera de su centro y los de tormenta tropical a unos 295 km. Melissa, podría experimentar fluctuaciones en su intensidad.


