El Gobierno informó ayer que cuando tenga el reporte definitivo de los daños dejados por el ahora huracán Melissa evaluará la necesidad o no de solicitar un Estado de Emergencia.
El presidente Luis Abinader ofreció estas declaraciones durante LA Semanal con la Prensa al ser preguntado sobre su opinión con relación a que senadores se mostraron de acuerdo en aprobar el Estado de Emergencia, tras el paso del fenómeno que aún incide en el país.
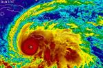
Abinader indicó que será en esta semana que el Gobierno comenzará a evaluar los daños producidos por el ya huracán categoría cinco, que se encuentra afectando en estos momentos a Jamaica.
Sin embargo, puntualizó que este levantamiento para determinar la extensión de los daños tomará tiempo ya que el fenómeno aún está en curso y puede causar más estragos en algunas provincias.
Hasta el momento solo el Ministerio de Agricultura ha reportado daños por RD$1,340 millones al sector agrícola.
“Estamos evaluando el nivel de daños. Tenemos que ver el Ministerio de Obras Públicas que está en ese proceso y los demás ministerios para ver si acudimos ya a un Estado de Emergencia… En caso de requerir fondos especiales, en ese caso, tendría que ser aprobado por el Congreso”.
El mandatario aseguró que el Gobierno cuenta “con los recursos suficientes” para atender las vicisitudes que hasta el momento se han reportado.
“Nunca hemos desamparado a nuestra gente y esta no será la primera vez”, exclamó.
El presidente Luis Abinader manifestó que en las próximas dos semanas espera que se puedan aplicar algunas de las recomendaciones acordadas en el Informe Final Consolidado del Diálogo por la Crisis Haitiana. El mandatario ofreció estas declaraciones, al ser preguntado sobre qué ha pasado con las sugerencias hechas, hace más de un mes, en el Informe Final Consolidado del Diálogo por la Crisis Haitiana que entregó el Consejo Económico y Social (CES). Abinader dijo que el huracán Melissa ocupó mucho de su tiempo durante la última semana, pero aseguró que el Gobierno comenzará a aplicar varias de las acciones acordadas. En ese mismo orden, el ministro de la Presidencia, José Ignacio Paliza, informó que uno de los elementos acordados fue la creación de una comisión de seguimiento a esos acuerdos.“Hemos comenzado a hacer las consultas del lugar con los diferentes actores que participaron en el diálogo”.
Mucha lluvia
La directora del Instituto Dominicano de Meteorología (Indomet), Gloria Ceballos, informó que Melissa estará provocando aguaceros hasta el jueves y que los acumulados de lluvia podrían ser entre 150 a 200 milímetros, especialmente en las provincias alerta roja: Pedernales, Barahona, Independencia y Bahoruco.
“Por eso ustedes ven que nosotros insistimos, en que todavía las lluvias no han pasado; porque los acumulados de lluvia que se sigan registrando en estos días, van a ser precisamente por campos nubosos asociados a ese huracán. Si ustedes observan la imagen de satélite, se pueden dar cuenta que en la medida que él se movía hacia el oeste, digo se movía porque ahora comenzó hacia el noroeste, esa nubosidad está ahí”.


